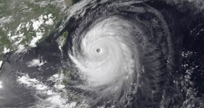
Çin’in doğusunu yarın etkisi altına alması beklenen Lekima (Lıcima) Tayfunu nedeniyle kırmızı alarm verildi.
Çin Ulusal Meteoroloji Merkezi, ülkenin doğusundaki Cıciang eyaletinden başlayarak civar bölgelerde etkili olacağı tahmin edilen Lekima Tayfunu için kırmızı alarm verildiğini duyurdu.
Bu yılın 9’uncu tayfunu olan ve daha önce saatte 209 kilometre hıza çıkan Lekima’nın Cıciang’a ulaştıktan sonra hızının azalacağı ve saatte 13 kilometre hızla ülkenin iç kesimlerine doğru kuzeybatı istikametinde ilerleyeceği ifade edildi.
Bugün yerel saatle 08.00 sularında Cıciang eyaletinin turizm bölgelerinden biri olan Beyci adasından 200 turist tahliye edildi ve feribot seferleri askıya alında.
Çin’de meteorolojik uyarı sisteminde kırmızı, turuncu, sarı ve mavi olmak üzere dört farklı uyarı bulunuyor.
ÇİN’DE LEKİMA TAYFUNU İÇİN KIRMIZI ALARM

Çin’in doğusunu yarın etkisi altına alması beklenen Lekima (Lıcima) Tayfunu nedeniyle kırmızı alarm verildi.
Videolar için YouTube kanalımıza abone olmayı unutmayın!
BUNLARA DA BAKABİLİRSİNİZ
- Bir haftada 75 trafik kazası meydana geldi
- Arıklı, Zafer Partisi Genel Başkanı Ümit Özdağ ve beraberindeki heyeti kabul etti
- Ünlü isimlere şafak baskını! İrem Derici, Hadise, Dilan Polat ve Kubilay Aka...
- Erhürman: “Kamu Yönetimini İzleme ve Yurttaş Şikayetlerini Değerlendirme Birimi” kurulacak
- Öztürkler: Erdoğan’ın mesajı Kıbrıs Türk halkına güç veriyor
-
0SEVDİM
-
0ALKIŞ
-
0KOMİK
-
0İNANILMAZ
-
0ÜZGÜN
-
0KIZGIN
Yorum Yazın
E-posta hesabınız sitede yayımlanmayacaktır. Gerekli alanlar * ile işaretlenmişdir.